Читать книгу - "Крейсер I ранга "Рюрик" (1889-1904) - Рафаил Мельников"
Аннотация к книге "Крейсер I ранга "Рюрик" (1889-1904) - Рафаил Мельников", которую можно читать онлайн бесплатно без регистрации
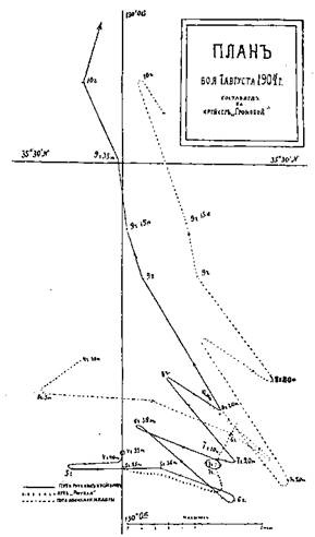
В ночь на 1 августа 1904 г. команда и офицеры спали не раздеваясь: миновали все расчетные сроки встречи с эскадрой, росли тревога и напряжение ожидания. С вечера шли 7-узловой скоростью в кильватерной колонне. В 4 ч 30 мин утра отряд пришел к месту, назначенному командующим флотом. Повернули на запад, чтобы, крейсируя здесь 7-узловой скоростью, поджидать эскадру. Спустя 10 мин после поворота в неясном еще рассвете увидели справа, впереди траверза, силуэты шедших с севера кораблей. Миг надежды на встречу со своими – и проступивший сквозь редкий туман характерный силуэт построенного во Франции крейсера “Адзума” заставил принять жестокую реальность: это была эскадра Камимуры. Пересекая курс шедшего на запад русского отряда, она спускалась с севера. “Беру твою подзорную трубу и сразу различаю, что эскадра Камимуры состоит из четырех крейсеров…” – писал впоследствии командиру крейсера “Аврора” его сын, участник боя на “России”, флаг-офицер штаба начальника отряда мичман В.Е. Егорьев. Да, шедший за головным крейсером “Идзумо” приземистый башенный корабль с одиночной, сдвинутой к корме третьей дымовой трубой мог быть только “Адзумой” – силуэт этого построенного во Франции броненосного крейсера не имел похожих ни в русском, ни в японском флоте К.П. Иессен уже принял решение: чтобы уйти от корейского берега (до Фузана было уже около 40 миль) в 4 ч 35 мин повернули обратно – на восток.
Японская эскадра, оказавшись слева в 8 милях, постепенно приближаясь, легла на параллельный курс. Следуя движению “России”, навои корабли в соответствии с Морским уставом – “В виду неприятеля” – подмяли на всех мачтах стеньговые флаги. Почти одновременно огромные полотнища с изображением восходящего солнца появились и на японских крейсерах. В 5 ч 10 мин с уменьшением расстояния до 6 миль японцы открыли огонь. Первые же снаряды их башенных 203-мм орудий со свистом и с треском, вздымая огромные фонтаны воды, легли у бортов русских кораблей. Вслед за “Россией” ответный огонь из 203-мм орудий левого борта открыли шедшие за ней “Громобой” и “Рюрик”.
Начали прибавлять скорость. Командир “Рюрика” капитан 1 ранга Е.А. Трусов, как всегда, начал энергично форсировать скорость крейсера, чтобы не отстать от вырывавшихся обычно вперед при полной скорости более быстроходных “России” и “Громобоя”. На этот раз расстояние до своего переднего мателота – “Громобоя” – начало сокращаться неожиданно быстро. Заметили это и на “Громобое”. Но крейсера почему-то продолжали идти не самой полной скоростью. Вероятно, по этой же причине флагманский крейсер японской эскадры, не ожидая, что русские пойдут медленнее, чем обычно, быстро вырвался вперед, оставив шедшие за ним три крейсера на расстоянии 8-9 кб. Воспользовавшись этим, русские крейсера сосредоточили огонь по остальным японским крейсерам. Вскоре на концевом “Ивате” (флаг контр-адмирала Митсу) и “Токиве” были замечены взрывы. Громким “ура” приветствовали на “России” этот первый урон, нанесенный японцам. Но очень скоро стало сказываться огромное огневое превосходство японцев, стрелявших залпами из всех 16 башенных 203- мм орудий. Несопоставимым с огнем русских шести палубных восьмидюймовок оказался и огромный разрывной эффект японских снарядов. Особенно сильно страдал от этих снарядов концевой “Рюрик”, наименее бронированный, с минимальным (только броневые щиты) прикрытием артиллерии и оставшимся неустранимым обилием дерева в палубах, рубках и устройствах. С болью наблюдали с “России” и “Громобоя”, как при каждом взрыве на палубе “Рюрика” в громадных столбах дыма и пламени взлетали вверх обломки его деревянных частей.
В 5 ч 23 мин “Россия” неожиданно резко сбавила скорость (с 15 до 10 уз), отчего “Громобой”, чтобы не столкнуться с флагманом, должен был, также уменьшив скорость, выйти из строя, круто, до 45°, повернуть влево в сторону противника. “Рюрику”, чтобы не протаранить “Громобой”, ничего не оставалось, как выйти из строя поворотом вправо. Виной всему было падение давления пара в котлах кормовой кочегарки флагманского крейсера: взрыв 203-мм японского снаряда чуть ли не наполовину “раскрыл” третью дымовую трубу “России”, отчего резко упала тяга в топках, а осколки снаряда, проникшие через броневые решетки дымохода, разбили I несколько трубок в одном котле.
В 5 ч 38 мин отряд изменил курс на 20° вправо: адмирал решил огнем левого 203-мм орудия отогнать | подходивший с востока и уже открывший по “России” огонь японский крейсер “Наннва” под флагом контр- адмирала Уриу Сотокичи. Оказавшись под огнем, он круто ушел вправо и в первой половине боя, опасаясь огня русских кораблей, держался в стороне. Появление за “Нанивой” двух других японских кораблей с востока и юга (“Такачихо” и “Нийтака”) потребовало поворота на обратный курс, чтобы, переменив борт и введя в действие ранее не стрелявшие орудия, вдоль корейского берега, позади японской эскадры, прорваться на север. Этот поворот в сторону от неприятеля нельзя было, однако, осуществить без риска столкнуться с “Рюриком”, который по-прежнему шел правее и впереди своего места в строю. Выровнять строй увеличением скорости головного корабля не позволяла задерживающая движение “Россия”, на поворот “Все вдруг”, чтобы головным стал “Рюрик”, адмирал, боясь, видимо, потерять управление отрядом, не решился. Пришлось пойти на маневр, имевший роковые последствия.
В 5 ч 45 мин “Рюрику” были сделаны сигналы “Меньше ход”, а затем “Вступить в строй”. Но уже через 5 мин, не дав “Рюрику” вступить в строй, адмирал начал поворот. Исполняя приказания, “Рюрику” пришлось не только уменьшить скорость, но даже временно застопорить машины. Преждевременно начатый поворот заставил корабли сбавить скорость из-за риска столкновения с “Рюриком”. Все это вместе с уменьшившейся дистанцией до противника привело к резкому увеличению числа попаданий японцев по русскому отряду. Именно в это время “Рюрик” и получил тяжелые повреждения в корме, в результате которых вышел из строя рулевой привод. Сильно пострадал и “Громобой”: от снаряда, разорвавшегося на юте, погибло около 50 матросов.
Руль на “Рюрике” установили в нейтральное положение и начали управляться машинами. Корабль успел совершить поворот на запад вместе с отрядом, но уже вскоре начал отставать и сбиваться с курса, развернувшись носом в сторону противника. На сигнал адмирала “Все ли благополучно?” с “Рюрика” после длительной задержки ответили “Руль не действует”. Это было в 6 ч 28 мин. Отстав от отряда уже на 20-30 кб, он попал под сосредоточенный огонь японской эскадры. В 6 ч 38 мин, отказавшись от почти уже удавшегося прорыва, К.П. Иессен повернул обратно на выручку.
Дальнейший бой свелся к многократным отчаянным попыткам “России” и “Громобоя” отвлечь огонь японцев на себя, дать “Рюрику” возможность исправить повреждение и вместе со своими прорваться во Владивосток. В течение почти двух часов “Россия” и “Громобой”, держась около “Рюрика”, сделали на коротких галсах шесть резких поворотов. Понятно, что такая вынужденная тактика резко снижала эффективность огня русских кораблей. В то же время эскадра Камимуры, стреляя по “Рюрику”, получила возможность на недолетах и перелетах поражать и два других маневрировавших вблизи него русских корабля.Стойкость русских, их огонь, который к концу боя стал даже усиливаться, заставили японского адмирала прекратить бой. В 9 ч 50 мин, дав последний залп, “Идзумо” резко свернул вправо от русских, за ним последовательно легли на обратный курс остальные.
Прочитали книгу? Предлагаем вам поделится своим впечатлением! Ваш отзыв будет полезен читателям, которые еще только собираются познакомиться с произведением.
Оставить комментарий
-
Вера Попова27 октябрь 01:40
Любовь у всех своя-разная,но всегда это слово ассоциируется с радостью,нежностью и счастьем!!! Всем добра!Автору СПАСИБО за добрую историю!
Любовь приходит в сентябре - Ника Крылатая
-
Вера Попова10 октябрь 15:04
Захватывает,понравилось, позитивно, рекомендую!Спасибо автору за хорошую историю!
Подарочек - Салма Кальк
-
Лиза04 октябрь 09:48
Роман просто супер давайте продолжение пожалуйста прочитаю обязательно Плакала я только когда Полина искала собаку Димы барса ♥️ Пожалуйста умаляю давайте еще !))
По осколкам твоего сердца - Анна Джейн
-
yokoo18 сентябрь 09:09
это прекрасный дарк роман!^^ очень нравится
#НенавистьЛюбовь. Книга вторая - Анна Джейн


